Ascultă Radio Vacanța Live

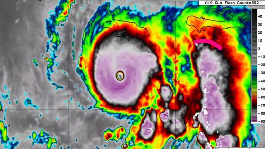
Atenționare de călătorie în Jamaica, Cuba și Bahamas din cauza uraganului Melissa

MAE recomandă cetățenilor români să respecte instrucțiunile autorităților locale.

Atenționare de călătorie în Jamaica, Cuba și Bahamas din cauza uraganului Melissa

Articol de AP , 28 octombrie 2025, 10:45

Ministerul Afacerilor Externe avertizează românii care se află, tranzitează sau intenționează să călătorească în Jamaica că autoritățile naționale au activat starea de urgență pe durata fenomenelor extreme cauzate de uraganul Melissa, în cursul zilei de 28 octombrie.

Autoritățile jamaicane au emis un ordin de evacuare a populației în principalele zone afectate: Port Royal, Kingston; Portland Cottage și Rocky Point, Clarendon; Old Harbour Bay, St. Catherine; Taylor Land, Bull Bay, New Haven și Riverton City, St. Andrew.

MAE recomandă cetățenilor români să respecte instrucțiunile autorităților locale și să acceseze paginile de internet ale instituțiilor specializate care monitorizează evoluția sistemului tropical: Institutul Național de Meteorologie din Jamaica, Tropical Storm Melissa – Jamaica Information Service și Centrul Național al Uraganelor din SUA.

Cetățenii români aflați în zonele ce urmează a fi afectate de aceste condiții meteorologice, precum și cei care se confruntă cu situații deosebite sau urgențe pot contacta Ambasada României la Havana la numărul de telefon de permanență +53/52868386.

Ministerul Afacerilor Externe avertizează cetățenii români care se află, tranzitează sau intenționează să călătorească în Republica Cuba sau în Uniunea Bahamas că autoritățile naționale ale acestor state au decretat stare de urgență ca urmare a apropierii uraganului Melissa.

Sunt vizate de starea de alertă centrul și estul insulei Cuba – provinciile Camaguey, Las Tunas, Holguin, Granma, Santiago de Cuba și Guantanamo, respectiv provinciile centrale Ciego de Avila și Sancti Spiritus.

Se estimează că fenomenul meteo va ajunge în Cuba în zilele de 28-29 octombrie 2025, apoi se va deplasa către Uniunea Bahamas, unde va produce fenomene meteo extreme în cursul zilei de 29 octombrie 2025.

Autoritățile Uniunii Bahamas au anunțat evacuarea locuitorilor din insulele Inagua, Acklins, Crooked, Mayaguana și Ragged.

Cetățenii români aflați în zonele ce urmează a fi afectate de aceste condiții meteorologice, precum și cei care se confruntă cu situații deosebite sau urgențe pot contacta Ambasada României la Havana la numărul de telefon de permanență +53/52868386.

Etichete:
TIMIȘOARA: Transportul public cu vaporașele pe Bega se reia din aprilie
Știri joi, 12 martie 2026, 11:00

TIMIȘOARA: Transportul public cu vaporașele pe Bega se reia din aprilie

Înainte de reluarea curselor, vaporașele vor fi lansate la apă în 28 martie, iar până la finalul lunii vor avea loc probe tehnice și...

TIMIȘOARA: Transportul public cu vaporașele pe Bega se reia din aprilie
Intrare gratuită la Muzeul Național Secuiesc din Sfântu Gheorghe, în contextul Zilei Maghiarilor de Pretutindeni
Știri joi, 12 martie 2026, 09:00

Intrare gratuită la Muzeul Național Secuiesc din Sfântu Gheorghe, în contextul Zilei Maghiarilor de Pretutindeni

Vor fi prezentate, printre altele, ultimul tun al revoluționarului pașoptist Gabor Aron, precum și expoziția “Geniile în spatele eroilor”....

Intrare gratuită la Muzeul Național Secuiesc din Sfântu Gheorghe, în contextul Zilei Maghiarilor de Pretutindeni
ROCKESTRA: rockul întâlnește orchestra într-un concert-eveniment, la Cluj
Știri joi, 12 martie 2026, 08:00

ROCKESTRA: rockul întâlnește orchestra într-un concert-eveniment, la Cluj

Un spectacol care aduce reinterpretări simfonice ale unor hituri și balade rock celebre pe scena Auditorium Maximum din Cluj-Napoca. 25 martie...

ROCKESTRA: rockul întâlnește orchestra într-un concert-eveniment, la Cluj
VÂLCEA: Mocăniţa de la Valea Bistriţei ar putea circula în scop turistic
Știri miercuri, 11 martie 2026, 20:00

VÂLCEA: Mocăniţa de la Valea Bistriţei ar putea circula în scop turistic

Mocănița din județul Vâlcea, care străbate cinci localități, Mihăeşti, Băbeni, Frânceşti, Tomşani şi Costeşti, este singura de la sud...

VÂLCEA: Mocăniţa de la Valea Bistriţei ar putea circula în scop turistic
Știri miercuri, 11 martie 2026, 17:00

Instalațiile de transport pe cablu din Poiana Brașov pornesc mai devreme, de joi

De joi nu doar că puteți schia la jumătate de preț, dar puteți începe mai devreme. Continuă veștile bune pentru brașovenii și turiștii...

Instalațiile de transport pe cablu din Poiana Brașov pornesc mai devreme, de joi
Știri miercuri, 11 martie 2026, 15:30

Reducere de 15% la biletele Interrail. Călătorii pot explora Europa cu trenul la preț promoțional

Oferta este disponibilă pentru toate categoriile de călători — adult, senior, tânăr și copil — atât la clasa I, cât și la clasa a II-a....

Reducere de 15% la biletele Interrail. Călătorii pot explora Europa cu trenul la preț promoțional
Știri miercuri, 11 martie 2026, 14:00

Pasagerii care pleacă de pe aeroporturile din București pot lua 2 litri de lichide în bagajul de mână!

Pasagerii care pleacă de pe aeroporturile din București pot să transporte în bagajul de mână lichide, aerosoli și geluri aflate în recipiente...

Pasagerii care pleacă de pe aeroporturile din București pot lua 2 litri de lichide în bagajul de mână!
Știri miercuri, 11 martie 2026, 11:00

Podul Prieteniei se închide, joi, pentru lucrări de reparaţii

Podul Prieteniei Giurgiu-Ruse va fi închis, joi, timp de cinci ore, pentru efectuarea unor lucrări de reparaţii. Podul Giurgiu-Ruse va fi închis...

Podul Prieteniei se închide, joi, pentru lucrări de reparaţii